如果你发现家里的植物出现叶片泛黄、叶子发皱,且土面或叶片上有一些 病斑,那肯定就会导致植物的状态越来越差,都是什么原因引起的呢?
下面就来总结一下室内植物快要挂掉的11种症状,当然我们也要以预防为主。
第一种:根腐病

烂根的白掌
室内养花时,大部分的植物都会因为浇水过度频繁而挂掉,土壤的排水性不佳或环境通风不好,就容易引起根腐病,
养在室内的植物对水分的需求会急剧降低,如果还频繁浇水,那肯定会导致植物的根部缺乏氧气,就会导致植物的根慢慢变成棕黑色或糊状。
烂根的金钱树
植物感染根腐病的主要症状,就是植物的枝叶会持续不断地枯萎发黄,叶子会一片片不断发黄,且叶子一碰就掉,那这种基本就是烂根。
室内植物烂根后,整个植物的枝条也会慢慢发皱,根茎底部就会出现发软的情况,茎底部甚至可以捏出水分。
如果是刚开始烂根的植物,比如常见的发财树、金钱树等植物,只是部分根系烂了,那就可以将它们从土壤中移出来,并且清洗根系,将所有腐烂的根系剪掉,并且要往健康的部分多剪几厘米。
之后就用多聚宁溶液或高锰酸钾溶液浸泡这些枝条,过30分钟到一个小时左右,再将植物拿起来,重新扦插到新的盆土中,保持盆土微润,保湿湿度和温度,一般两三周后就可重新长根发芽。
烂根后的君子兰重新生长
在室内养花的时候,建议就用一些比较疏松、排水好的土壤,尽量不要使用黄泥土、红土,或是一些比较粘重的盆土栽种植物。花盆最好是选红陶盆、瓦盆
,或是有较多排水孔的加仑盆、青山盆或爱丽丝花盆,栽种植物的花盆不能太大,紧凑一点的花盆在室内更容易养好花。每次给植物浇水之前,都要等土壤完全干透后再补充水分,这样做基本都是可以将室内植物养活。
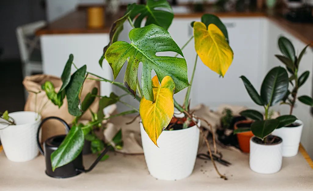
第二种:过度缺乏肥料
有些朋友在家里养花后,几年都不会给植物给一点肥料,肯定就会导致植物的叶子不断发黄,但是叶子并不会脱落,这个和烂根的症状区别是非常大的。
如果你的室内植物叶子不断发黄,但叶子还是坚强的留在枝条上,那基本就是
过度缺乏肥料导致的,在花盆里面的土壤是非常有限的,盆土中的养分会的随着时间的推移而逐渐枯竭,在室内养护植物时,也需要偶尔给植物补充薄肥,但是施肥浓度不能过大(浓度比平常少一半),频率不能过高。
室内的盆栽植物每年给一两次缓释肥就足够了(春秋各给一次),或者是一些在盆底埋入一些腐熟的羊粪肥,羊粪肥的肥力会比较温和,就不容易烧伤植物的根系。缓释肥则可以选择长效型的,每次就只在花盆边缘处挖孔埋下去,大概15厘米大小的花盆就撒入1~2克(小勺)。
第三种:植物“僵苗”
有些朋友家里的植物养着养着就停止生长了,养大半年甚至几年时间都不见植物长一点,没有新的叶子长出来,植物的叶色逐渐发黄、叶片变小,植株生长势弱。
这种情况就是我们平常所说的“僵苗”,就是没有新的根系长出来,只是不断在消耗老叶的养分,叶子会出现从枝条底部不断向上发黄。
如果遇到这种情况,就要及时对土壤进行疏松,另外就注意将植物养在合适的环境下,改善养护环境,可以稍微给植物一些阳光,可以给早上或傍晚柔和光照,逐渐增加光照,不要一下子暴晒。
另外,就要注意增强环境通风,注意清洁叶片上的灰尘,让植物更好地进行光合作用,等植物长出新的嫩叶、嫩芽之后,就可以开始补充肥料了。在植物僵苗期间就不要施肥,否则只会导致肥伤、
第四种:真菌病害
如果植物的叶片和枝条上出现一些黑色或棕色的斑点,慢慢变成斑块,那基本就是感染真菌病害了,需要将感染病害的植物隔离开来,以免感染其他的健康植物。
一些感染病菌比较严重的枝叶要全部剪掉,并且丢弃到垃圾桶里,并及时喷洒杀菌药。平常植物可以每隔1~2个月喷洒一次代森锰锌溶液、百菌清溶液或甲基托布津溶液,可以很好的预防真菌病害的滋生。如果植物已经感染真菌病害,那就要对症下药,可以用到常见的露娜森、绿妃、氟硅唑(黑斑病)和三唑酮等强效的三禁药
第五种:根系长满花盆
如果你的盆栽植物养了好多年,根系已经长满花盆了,甚至有根系长出土面,
那一定要及时进行换盆。换盆的最佳时间是在植物开花结束之后,一般是在春暖后进行,换盆是最好的。在冬季温暖的地方,也可以在秋季换盆。
给植物换盆的时候,不要一下子换到太大的花盆中,每一次换盆就比原来的花盆大一个规格就可以了。就比如12cm直径的花盆就可以换到15cm直径的花盆中。
换盆的时候可以稍微去掉表层土,检查是否有烂根的迹象,再添加新的土壤,新的土壤和原来的旧土区别不要太大,否则根系很难从旧土长到新的土壤中。
换盆之后,植物先在通风遮阴处养3~5天,再慢慢见光,逐渐增加光照,就可以让植物重新恢复生长。在换盆的时候,可以在盆底添加一些缓释肥或腐熟的羊粪,保证植物移栽有较多持续不断释放出来的养分。
第六种:红蜘蛛
如果你发现植物的叶片和周围有一些很小的蜘蛛网状的东西,植物的叶面看起来非常粗糙,叶背还会变成黄色、红色的小斑点,那基本上就是感染红蜘蛛了。
红蜘蛛是一种小螨虫,会以植物叶子里面的汁液为食,会对植物造成损害,如果发现植物已经感染红蜘蛛,那一定要和其他健康植物隔离开来,以免受到影响。可以将植物摆放在水槽中,可以用水管或洒水器对植物进行喷洒。
鸭脚木(鹅掌柴)感染红蜘蛛
另外,可以用肥皂水兑水清除这些红蜘蛛,最常用的就是用到1毫升的洗洁精、1毫升的植物油混合3升清水,搅拌均匀之后要对植物的叶面、叶背喷洒均匀,喷洒这些肥皂水之后,第二天早上要用清水冲洗一下植物,避免有
溶液残留,用这种植物就可以很好的清除红蜘蛛。
当然,你也可以直接买一些杀虫剂喷洒,包括常见的金满枝和哒螨灵等都可以
很好清除红蜘蛛,但要注意交替喷洒,避免产生抗药性。
第七种:蚧壳虫(介壳虫)
如果你发现植物的叶子开始发黄、枯萎,且植物的枝条上会出现一些白色的
虫子,这些虫子会慢慢长成成虫(没有翅膀),它们的背上就会长一层壳,这种就是蚧壳虫,它们会吸取植物的汁液和水分,让植物逐渐衰弱。
蚧壳虫的成虫
有些朋友就会用刀子把植物枝条上过多的蚧壳虫刮下来,这种方法只能减少虫害,还是要喷洒一些药剂。如果只是很少部分的汁液感染虫害,可以直接用棉签蘸上酒精对感染,对感染虫害的地方进行涂抹,或用75%浓度的酒精兑水,以1:1的比例混合,往感染虫害的地方喷洒。可以买防治蚧壳虫的杀虫剂,包括常见的必治。
第八种:光照不足
栀子花缺乏光照
室内植物的叶片越长越小,且枝叶之间的间隙不断拉大,叶子长得特别娇嫩,叶子颜色也会变得黯淡,那通常都是由于光照不足引起的。
所有的植物都是需要光合作用来给植物的生长提供能量,如果没有适当的光照,那肯定会导致植物生长的能量减少。
琴叶榕缺乏光照
植物的生长会变得缓慢,还会出现枝叶徒长的情况,就是为了寻找更多的光照。
当然,这些缺乏光照的植物不能一下子搬到阳光充足的地方,缓慢见光,逐渐增加光照,让植物慢慢适应新的环境,才能让它们安全地恢复生长。
第九种:白粉病
如果你如果发现植物的叶片上出现一些粉末状的白色物质,且用清水可以擦拭干净,那基本就是感染白粉病了。这种真菌病害通常会在一些通风不好,温度较高或比较干燥的环境下滋生,
四季秋海棠感染白粉病
平常养护植物的时候要注意改善环境通风,不要养在密闭的空间。在植物感染白粉病之后,可以将一些特别严重的病叶、病枝剪掉,先给植物喷洒一遍强力的清水,将过多的病菌冲走,并及时喷洒。强效的杀菌药,可以喷洒常见的粉锈宁、拿敌稳(戊唑醇)。
如果不想喷洒这些杀菌剂,可以用到有机的方法来清除,就比如用纯牛奶兑水,以1:1的比例混合,每隔7~10天喷洒一次,连续喷洒2~3次,就能将白粉病清除。
第十种:白粉虱
白粉虱是特别常见的一种害虫,它会吸取植物的汁液,最终会导致植物的叶子发黄,最终会逐渐枯萎。如果植物感染了大量的白粉虱,那植物还会互相不断传染,一旦发现植物感染白粉虱,一定要注意及时清清理,不要放任不管,它们的繁殖速度是非常快的,还会在周围产卵。
植物感染白粉虱可直接喷洒吡虫啉,在虫害不是特别严重的时候,每隔7天喷一次,连续喷2次就可以将虫害清除。如果虫害特别严重,就需要喷洒噻嗪铜、联苯菊酯等。
第十一种:选错了植物
闷坏枯萎了的矮牵牛
有些朋友在家里养花就根据自己的喜好来选,并没有过多的关注家里的环境,包括光照、通风和湿度等。
温度过高状态不好的倒挂金钟
在养花之前,一定要了解自己养花的环境,是否有较多的光照环境,通风是否很好,环境的温度、湿度对植物的生长是否很好,这些都是需要考虑的因素。
我们选购植物之前,一定要提前了解一下它们的生长习性,再结合家里的环境,就可以选好合适你家里的植物,做到这一点,养花就就成功了一半。


























