到了冬季,如果你那温差比较大,温度比较低,早晚有露水,在这样的环境下,养护植物要注意提前预防灰霉病。
包括常见的长寿花、蝴蝶兰、蟹爪兰、绣球花、菊花、秋海棠和非洲堇等,都是容易感染灰霉病,注意预防。

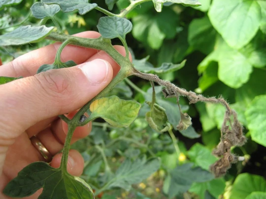
绣球感染灰霉病
到了冬春时节(特别是雨水较多的地方),温度比较低,温差比较大,很多植物都进入了半休眠或休眠的状态,基本就不怎么生长了,这个时候,很多病虫害都已经开始潜伏起来了,但灰霉病确实很容易爆发。
1、为啥会滋生灰霉病?
特别是在湿度比较大,和早晚温差比较大的时候,一定要及时清除土面上的落叶残叶、黄叶和枯叶等,这些叶片留在土面上会变成滋生灰霉病的温床。
不要以为平常注意控水,保持盆土微干就不会滋生,灰霉病了,只要早晚的温度比较低,就会有露水,如果底部的叶子过于茂盛,或者有落叶残叶,通风透光不好等情况,都是很容易滋生灰霉病的。
2、灰霉病和白粉病的区别:
灰霉病和白粉病是很容易辨认的,白粉病只是出现在叶子上(嫩叶和花苞容易感染),叶片上出现白色的粉末(严重时变棕色),通常是叶背比叶面还严重,用清水也可以擦拭干净,但是还会不断冒出来,而且还会不断蔓延(可以喷洒绿妃、露娜森或嘧菌酯等杀菌药清除)。
上面左边是灰霉病,右边是白粉病
而灰霉病则完全不一样,它会使得叶子上长白色、灰色的霉斑,它的叶子枝条等位置,会不断冒出灰白色的毛毛,就像发霉一样。
3、预防灰霉病
在温度开始急剧降低或者温差变得比较大了,在此之前,一定要提前喷杀菌药预防,特别是准备下雨之前,提前预防效果肯定是最好的。
可以用各种保护性的杀菌药进行预防,包括常见的多菌灵、百菌清、甲基托布津、代森锰锌等杀菌剂,可以每隔半个月左右喷洒一次就可以,很好预防灰霉病,滋生了喷洒的时候也要保证叶面叶背枝条和盆土都喷均匀。
植株上的残花也要及时清理干净,别留在枝头上,特别是湿度大和温度大的时候。
4、轻度灰霉病处理
如果你的植物本身就长的非常健康,感染比较轻度的灰霉病,其实并不需要太担心,将感染灰霉病的叶子及时清理干净,之后将植物摆放在通风透光更好的地方,在白天的时候,只要有阳光就尽量多晒太阳,有阳光杀菌,这些灰霉病的病菌很快就会消失殆尽了。
凤仙花感染灰霉病
多晒太阳,将植物搬到通风透光更好的地方,不仅可以杀菌,还可以降低湿度。
5、严重的灰霉病处理
如果植物感染灰霉病没有及时处理,这些霉菌会侵染到植物的主干、枝条、根、叶子和芽眼上面,导致整个植株腐烂,到那个时候就挽救不了了。
一定要注意定期检查植物的状态,如果没有提前喷杀菌药,植物已经感染灰霉病了,除了及时清理落叶残叶感染病害的枝叶,清理干净后还要多晒太阳,可以喷洒杀菌药,这个时候再喷多菌灵之类的保护性杀菌药就没啥效果了。
这个时候就比较适合喷洒专门对付灰霉病的杀菌药,包括常见的克菌丹、嘧霉胺、霉腐利、吡唑醚菌酯、唑醚咪鲜胺和嘧菌环胺等,可以选择新型的杀菌药,注意看有效成分。
植物感染灰霉病之后再喷洒强效杀菌药,一般是每隔五天左右喷洒一次,连续喷洒两三次都可以得到很好的防治效果了。
等病菌清除之后,后期也要注意每个半个月到一个月喷洒一次多菌灵之类的保护性杀菌药,预防病害再次爆发。当然,也要改善养护的环境,保证植物枝叶之间更加通透,多晒太阳,及时清理落叶枯叶。
小贴士:
养花难免会感染各种病虫害,还有各种修剪、施肥等问题,肯定要提前备上杀菌药、除虫剂,冬季植物休眠期也要给底肥(有机肥或缓释肥),来年才能长更好,如果有养花问题,或有买花、园艺周边和生活周边用品的需求。想要避坑,买到物美价廉的花卉和生活周边用品,可以直接进养花交流团购群。









