隋建国
自规划以来,上海的道路便并非皆为正南正北,其中新浦江城的坐标方位偏东17.5度,《偏离17.5度》则是艺术家隋建国由此诞生灵感,并自2007年开始实施的计划。
艺术家每年在浦江华侨城预先设定的结点,以相同的间距树立起一个铸铁方体,建立起一个正南北向的坐标网络系统。在几十年以后,这些立方柱将在这个城镇的建筑与街道系统中形成一个规模庞大的矩阵。而由于这个坐标网络系统的存在,人们亦可以在其随着时间推移不断在地生长的过程中,察觉到浦江华侨城与地球南北轴线的偏离,在一个相对自由的空间里与当代艺术进行一次公共性对话。
以下,“凤凰艺术”为您带来艺评家姜俊的评论文章。

▲ 《偏离17.5度》手稿
#
隋建国《偏离17.5 度》
——数字时、空网格下的实体纪念碑
文 / 姜俊
当我们用地图软件搜索雕塑家隋建国的公共艺术项目《偏离17.5度》的所在地上海华侨城“新浦江城”,页面加载时呈现的便是网格。地图制图学中的网格化系统由来已久,并非只出现在今天的数字时代,但在数字时代中,对于地理,即空间的管控无疑更为精密。在网格系统的基础上,我们每一个人都可以轻松地在数字设备中找到自己,实现数字化的自我空间定位。而这些定位也会被同步到更大的数字管理系统,在空间维度之外增添了每一个人行动的轨迹——数字地图将空间的管理扩展到个体存在的时间维度之上。
▲ 《偏离17.5度》规划位置图(2007年)
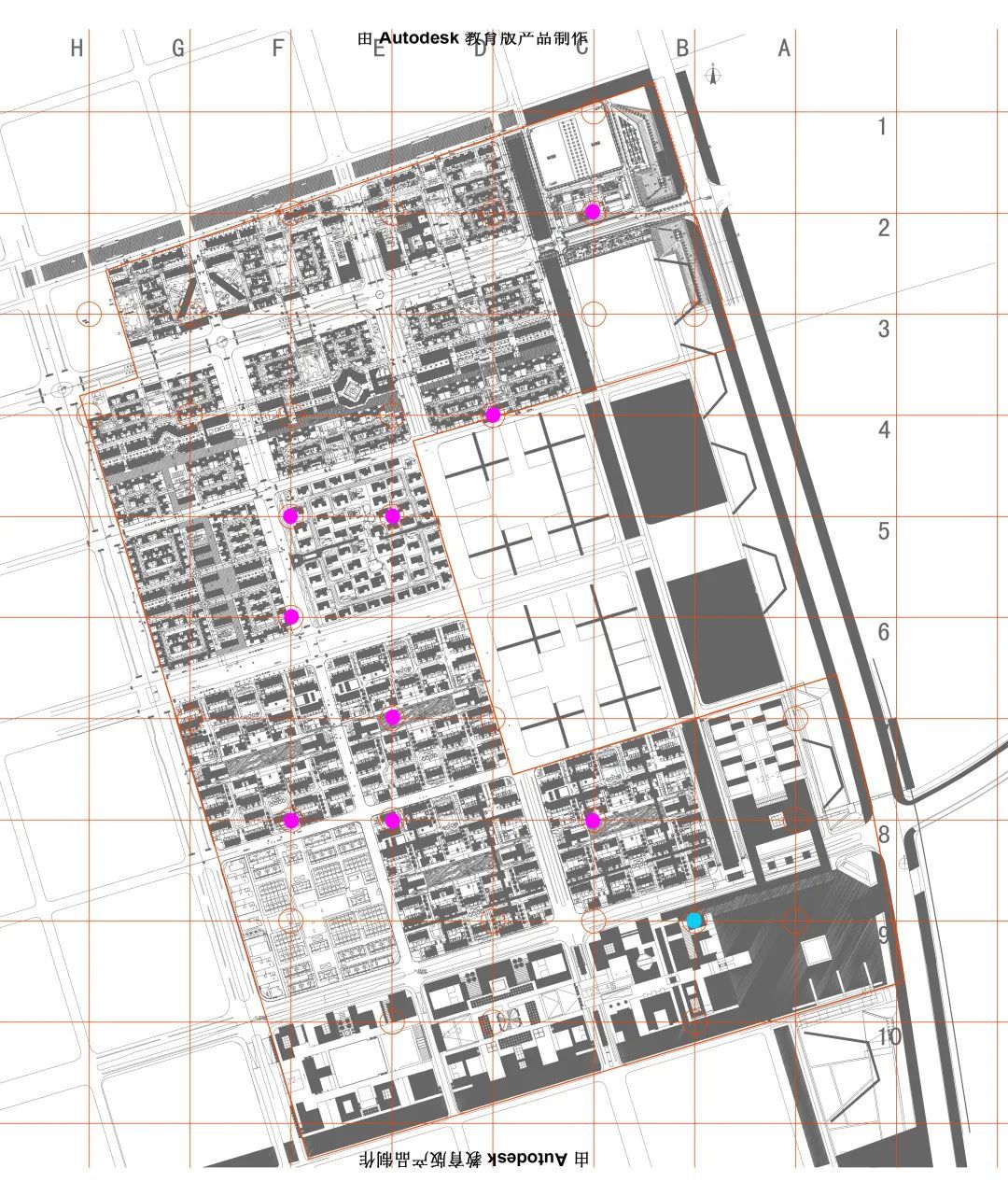
▲ 项目早期35个预留点的基本位置,后确定为34个
为了符合浦东的地势,上海华侨城规划布局和卫星地图网格系统略有偏离——朝向偏东南17.5度。艺术家隋建国为了标识这一差异,创作了同名公共艺术项目《偏离17.5度》。他在地图中选择了42个点,按照正南正北的网格系统布了一个矩阵。矩阵里的每一个格子的交叉点纵横相隔195米,每年选定其中的一个点植入一根长宽各1.2米铁锈色铸铁方柱。这些立方体的顶面均为海拔1750毫米,保持绝对水平。
▲ 隋建国,《偏离17.5度》2011年落点,考顿钢,高80厘米
▲ 隋建国,《偏离17.5度》2012年落点,考顿钢,高155厘米
理论上经过42年这个不断生长的作品最终将在城区中形成等高的网状方柱矩阵,从而标识出地图网络系统和现实不可弥合的偏差。但出生于1956年的艺术家用自己生命的延续为界,为矩阵的扩张设定了时间的限制。方柱植入点的数量随着年数增加,直到艺术家生命的终结,当年也即为作品的最终完成。
▲ 《偏离17.5度》单个方柱外观
▲ 2019年落成揭幕合影
这不禁让我想到美国艺术家迈克·阿舍(Micheal Asher)在“明斯特雕塑项目展”中创作的公共艺术项目“大篷车”,从1977年到2007年每十年同一辆大篷车会被放在城市的同几个位置。由于艺术家阿舍的去世,“大篷车”项目终止于2007年,没有继续延续。共四届的展示留下了一批摄影文献,它们构建了艺术家个人生命和城市形貌变迁的链接。无独有偶,隋建国的公共艺术项目《偏离17.5度》开始于2007年,至今在现场已经有17根方柱被树立起来,并将不断以每年一根的节奏延续……
▲ 迈克尔·阿舍,《大篷车》(Caravan),1977-2007年
从图像研究来看,在《偏离17.5度》中隋建国所使用的两个基础的形式元素——几何方体模块和网格化的地理空间图示。二者其实都源自于现代化的空间管理,即作为一种理性工具对于不可知空间的系统性征服。我们也可以理解为一种人类中心主义的地质学建构。自15世纪文艺复兴以来网格系统就构成了科学化空间概念的基础,为之后西方大航海和全球范围的地理殖民创造了必要的条件。
▲ 凡·杜斯伯格,《计数器的16位不和谐》,1925年
进入20世纪后,几何方块或立方体模块,以及网格系统在西方现代艺术和设计史中成为了极其普遍的形式基础,甚至上升为精神符号。荷兰风格派的旗手凡·杜斯伯格在1922年的一封给友人的信中写道:
“方块(现代性的符号)终将征服十字(基督教的符号)”。
对于杜斯伯格的一代西方艺术家而言,方块并非只是方块,它构成了网格系统。它的胜利代表了作为宗教的人类理性主义对于上帝的全面替代,从文艺复兴建筑和机械工程图、地图制图学一直延续到今天。在20世纪发展到极致的展示功能主义下,它们成为了一种被赞颂和圣化的现代主义美学形式。
▲ 里查德·塞拉(Richard Serra),《Berlin Block (for Charlie Chaplin)》,钢(Stahlblock),1977年,柏林新国家艺术画廊馆藏
▲ 隋建国,衣纹研究—掷铁饼者,铸铜,高172cm,1998年
从《偏离17.5度》中我们不难看到隋建国对于上世纪60年代极简主义雕塑家里查德·塞拉铁锈色铸铁立方体的引用,但他却有意地摆脱了纯空间美学的讨论,取法后现代对于现代主义的批判。方块组成的网格在风格之外的意义层面上往往和工业化、规范化、批量生产、规训、异化、非人化……等紧密相连,揭示了现代化背后的阴暗面,甚至获得了一种福柯式“牢笼”的隐喻。
▲ (左)隋建国,《衣钵(第5稿)》,玻璃钢包铅皮及综合材料,衣钵高140厘米,总高240厘米,1999年参加洛杉矶展;(右)最早的《衣钵》素描稿
▲ 隋建国,侏罗纪时代,铸铜,钢,喷漆,高6.6米,1999年制作
从这一脉络,我们不难理解隋建国一直以来的雕塑创作,从千人一面同质化的中山装,到牢笼中的被放大的玩具恐龙模型,再到近年来网格脚手架中悬挂的巨大抽象“手迹”物,它们都是一种对于现代网格化管理的抵抗和批判:在数量和体量的冲击力下,无机的几何框架和有机体不规则形态形成了强烈的视觉对比,耐人寻味。
▲ 隋建国,《云中花园·40个瞬间》3D打印光敏树脂与建筑脚手架,高12米。2021年
在最近几年中,“网格化管理”逐渐被我们熟知。它是一种行政的数字化时空革命。在数字技术的帮助下,社会事务中的管理区域按照一定的标准被划分成若干个网格单元。其上的信息被收集、协调、交流、共享,从而实现从上至下时间和空间的统一管理。它无疑是晚期福柯所讨论的“生命政治”的数字化加强版。
▲ 《偏离17.5度》2016年落点(蓝色位置)
作为一位雕塑家,隋建国敏锐地发现了从文艺复兴开始,经过几何抽象、极简艺术到当代,联动整个现代性演化的几何立方体模块和网格系统。当我们回望十多年来的技术革命,在数字元宇宙和人工智能的普及下,网格系统同时正在成为我们日常生活的基础构架(Infrastructure),在空间和时间的双重维度上管理着我们的生命。
▲ 《偏离17.5度》第十个立方体入位(2016年)
▲ 《偏离17.5度》第三个立方体安装入位(2009年)
在公共艺术项目《偏离17.5度》中艺术家用冰冷的锈铁立方体作为外壳,将自己未来的生命融入其中,构建了一组生长、且有年限的实体纪念碑矩阵。它们被作为“人性”的象征物,放入到城市空间和时间的网格系统之中,试图尝试着对于当下生活机制展开最有力和最本质的揭示。
关于艺术家
隋建国1956年生于山东省青岛市,1984年毕业于山东艺术学院美术系,获得学士学位,1989年毕业于中央美术学院雕塑系,获得硕士学位。现居住和工作在北京,为中央美术学院资深教授。
隋建国在自己四十多年的艺术实践中对创作观念、作品形式、媒介选择、时空经验等多个方面都有深度理解和认识。2008年以来逐步将精力集中,以手捏泥并以3D数字技术放大打印成为作品。曾多次在国内外举办个人艺术展,并多次参加国际艺术群展,其中近期有:
个展:
2021年《写空·作品与文献》33艺术中心,中国广州
2019年《生灭与真如-隋建国》,壹美美术馆,中国北京
2019年《体系的回响-隋建国1997-2019》,北京民生现代美术馆,中国北京
2019年《体系:隋建国2008-2018》,OCAT,中国深圳
2017年《肉身成道》,佩斯画廊,中国北京
2014年《盲人肖像》,中央公园弗里德曼广场,美国纽约
2012年《隋建国的掷铁饼者》,大英博物馆,英国伦敦
2009年《运动的张力》,今日美术馆,中国北京
2008年《公共化的私人痕迹》,798卓越空间,中国北京
2005年《隋建国:理性的沉睡》,亚洲美术馆,美国旧金山
群展:
2023年,《化作通便——第七届广州三年展》广东美术馆,中国广州
2021年,《超越》西海艺术湾TAG美术馆,中国青岛
2019年《物之魅力》,郡立美术馆,美国洛杉矶
2018年《海南城市公共艺术计划——来自中英的艺术家》,海口日月广场,中国海口
2017年《罗丹百年大展》,大皇宫,法国巴黎
2015年《三人同船》,玛格基金会美术馆,法国尼斯
2013年《城堡中的花园——第九届巴腾贝格雕塑双年展》,德国法兰克福
2012年《见所未见,UNSEEN——第四届广东双年展》,广东美术馆,中国广州
2012年 《重新发电——第九届上海双年展》,上海当代艺术馆,中国上海
关于作者
姜俊,同济大学建筑与城市规划学院博士后;独立策展人,艺术批评家。他毕业于德国明斯特艺术学院,后获得中国美术学院艺术学博士,专注于公共艺术研究,以及当代艺术和城市治理的跨界融合,生活于上海、杭州和广州。第七届广州三年展策展人之一。
(凤凰艺术 上海报道 撰文/姜俊 编辑/胡倩仪 责编/索菲)





















