5月9日,临港新片区管委会在市规资局支持和指导下,核发出全国首张城市道路不动产登记证。

这是临港新片区首次尝试在政府投资项目中将土地证与建设工程规划许可证相分离的办理方式,以临港新片区管委会指定的国有资产接收单位为申请主体进行建设用地规划许可证的申请办理,进而核发办理不动产权证书。
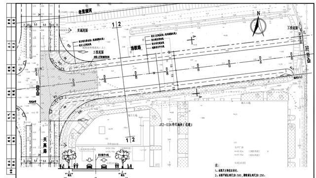
该市政道路项目位于临港新片区先进智造片区中部,工程范围西起现状天高路路口,东至J12-03A地块边界,全长约0.17千米,主要建设内容包括道路、排水、电气照明、交通工程、监控、绿化等附属工程,项目法人和建设单位均为上海临港新片区建设发展有限公司。
土地权属是市政道路建设中的最重要权证。以往,市政道路项目的土地权证以建设单位为办理主体,这对道路周边后期开发涉及该红线范围内用地时,按照相关法律规定需土地权属单位同意,极为不便。
此次核发的城市道路不动产登记证,打破了传统模式中土地证与建设工程规划许可证紧密捆绑的办理方式,将两者相分离,是临港新片区在土地管理领域的一次大胆创新。
“比如上述土地,项目法人和建设单位均为上海临港新片区建设发展有限公司,后期想要在这块土地上进行其他相关的一些开发建设,还需取得公司的同意,这对于资源调配以及规划建设来说不太方便。”新片区管委会规资处相关负责人介绍道。
通过此次创新,临港新片区管委会在划拨供地阶段就将该项目供地主体变更为上海市城市建设交通运输事务中心,并以建交中心为主体来办理后续土地相关手续。即将不动产权证颁发给建交中心,但建设工程规划许可证发放主体仍为上海临港新片区建设发展有限公司。这样一来,建交中心便拥有了道路土地的权属,能够更加灵活地规划和控制土地使用,更高效地配置资源,对于工程建设项目的实施和推进产生积极而深远的影响。



